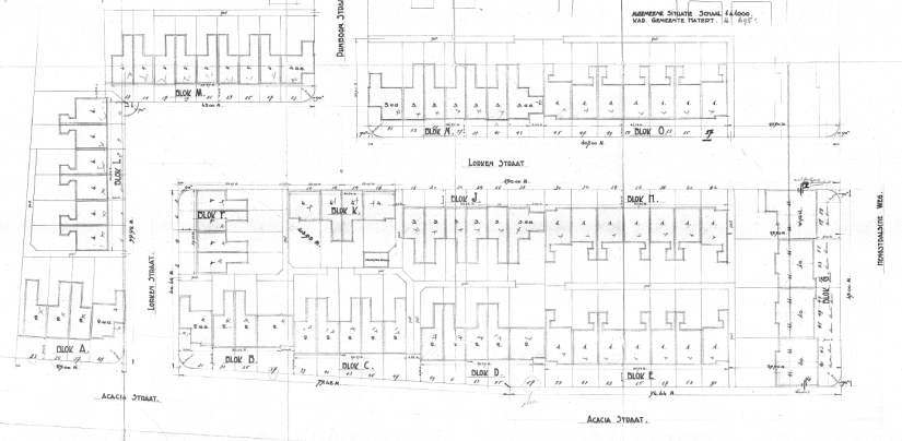
1932 Bomenbuurt oa deel Acaciastraat, Lorkenstraat en Pijnboomstraat

Waar daarvoor weilanden waren, werd in 1934 binnen anderhalf jaar een nieuwe wijk gebouwd door Volksbelang en de Gezonde Woning: 75 woningen in de “Bomenbuurt” in Hengstdal.
Op de foto staat een deel van de straten dat door architect Reynen voor de Gezonde Woning is ontworpen, als onderdeel van het “bouwen van 75 (of 73?) eengezinswoningen 3 (of 5? ) Beneden- 8 Bovenwoningen – 1 Winkelhuis en 1 Transformatorhuis op een terrein gelegen ten westen van den Broerdijk”.

Het PGNC schrijft:
“Een nieuwe stadswijk in 1½ jaar tijds verrezen. De “boomenbuurt” bij den Broerdijk.

Nog maar een luttel aantal jaren geleden bood het terrein tusschen Berg en Dalscheweg en Postweg, dat daar ligt als een vallei tusschen de hoogten van den Kwakkenberg en die van den Berg en Dalscheweg, een bij uitstek landelijken aanblik, met zijn langgereke akkers, waarop de landbouw vlijtig beoefend werd. Slechts ter weerszijden van den rand der hoogten strekte zich een huizenrij uit, die de vlakte als het ware begrensde. En dan was der nog de Broerdijk, die dwars door de vallei heen liep en waaraan zoo hier en daar een huis stond.
Wel zeer sterk is het aspect van deze streek veranderd. Want hier is een nieuwe stadswijk verrezen, met honderden huizen, en straten en pleinen en wie hier thans passeert valt het moeilijk zich den ouden toestand weer voor den geest te brengen. Aan de landelijke sfeer van vroeger herinnert niets meer; verdwenen zijn de glooiende akkers, waarop de steenmassa’s der nieuwe huizencomplexen werden opgetrokken.


Er is bij dezen woningbouw in welhaast Amerikaansch tempo gewerkt. Begin 1933 was hier nog geen huis te bekennen- thans zijn er 400 bewoond. Het getal op zich zelf zegt misschien niet voldoende. Een juisten indruk krijgt men pas, als men hier zelf eens poolshoogte neemt. Maar dan zal men ook alle respect hebben voor het reuzenwerk dat hier in ongeveer anderhalf jaar tijd tot stand kwam. Zal men respect hebben ook voor het initiatief der beide woningvereenigingen- de stichting “Opgang” en de arbeidersbouwvereeniging “De Gezonde Woning”- die dezen bouw ondernamen, waarbij de gemeente haar onmisbaren steun wel heeft willen verleenen. Nijmegen werd hierdoor een mooie stadswijk rijker en de ingezetenen, die hier reeds huisvesting vonden zullen zich ongetwijfeld bevoorrecht achten boven zoo vele anderen, die voor den zelfden of nog hoogeren huurprijs heel wat minder comfortabel wonen. Wat die huurprijzen betreft, de woningen “doen” van 4 tot 6 gulden per week; het overgroote deel valt echter in de 5 gulden-klasse, wat zeker een billijken prijs is voor een betere arbeiderswoning, zooals die hier gebouwd worden en die menige kleine middenstandswoning in de stad de loef afsteken. Verheugend achten wij de totstandkoming van de nieuwe stadswijk ook hierom, omdat zij mede den groei en de expansie-kracht van onze stad demonstreert. Daarvan is trouwens de laatste jaren herhaaldelijk gebleken, door den bouw van nieuwe stadswijken. Een een typisch bewijs voor dezen groei vinden wij ook wel dit: dat zelfs menig geboren en getogen Nijmegenaar met geen mogelijkheid alle nieuwe straten, waaraan de woningbouw in den laatsten tijd het aanzien gaf, meer zou kunnen thuisbrengen- dat kwam, laat ons zeggen een 20 tal jaren geleden, niet voor. Thans is menig goed-Nijmeegsch burger al blij als hij op een vraag naar die of die straat kan zeggen in welke buurt: Vogelenbuurt, Waterkwartier, Willemskwartier e.d., ze gelegen is. Welnu, het zou ons niet verwonderen wanneer van de nieuwe stadswijk, die wij hierboven bespraken, in de toekomst gesproken zou worden als van de “boomenbuurt”. Want de Haagbeukstraat, Lorkenstraat, Hazelaarstraat, of hoe hier al die nieuwe straten heeten mogen, die zal menigeen toch niet thuis kunnen brengen. En daarom kortweg: de “boomenbuurt”. (PGNC 3/12/1934)
W. Th. Reynen, architect van verbouw en nieuwbouw in Nijmegen
W.Th. Reynen ontwierp veel sociale huurwoningprojecten voor de Woningvereeniging Nijmegen. Daarnaast komen we hem regelmatig tegen als ontwerper van woon-winkelpanden…
Niersstraat Blok B Reynen
In 1930 bouwde de Woningvereeniging “Nijmegen”een groep van 85 woningen aan de Niersstraat en Waterproject.
Christus-Koningkerk architect Zwanikken
De bouw van de rooms-katholieke Christus Koningkerk is in 1932 begonnen. Architect Zwanikken ontwierp deze kerk in expressionistische stijl. De…
Een gedachte over “Terrein ten westen Broerdijk, oa deel Aciciastraat, Lorkenstraat, Pijnboomstraat”